关于桂林市临桂区金水路与金桂路交叉口东200米,
与广汇御观山小区相邻土地权属确权的公告
日期:12-19

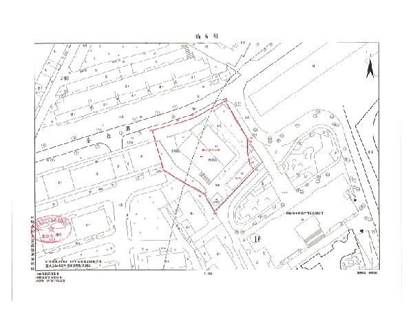
现将桂林市临桂区金水路与金桂路交叉口东200米,与广汇御观山小区相邻土地,占地面积1853.11平方米(折合约2.78亩)的土地确权审核结果予以公告。该地土地权属性质为国有,四至范围:
桂林市临桂区金水路与金桂路交叉口东200米,与广汇御观山小区相邻。
如对该地权属等有异议的单位(个人),请持相关证明材料在2025年1月19日前到我局自然资源确权登记科(临桂区青莲路8号投资发展商务大厦南楼328室,联系电话:0773-2891669),申请办理复查手续。逾期没有提出异议的,即依法确定该宗地为国有土地。
桂林市自然资源局
2025年12月19日