电子报阅读机
2026-03-26
星期四
当前报纸名称:惠州日报

迁坟通告

日期:11-25
字号:
版面:第A08版:广告       上一篇    下一篇

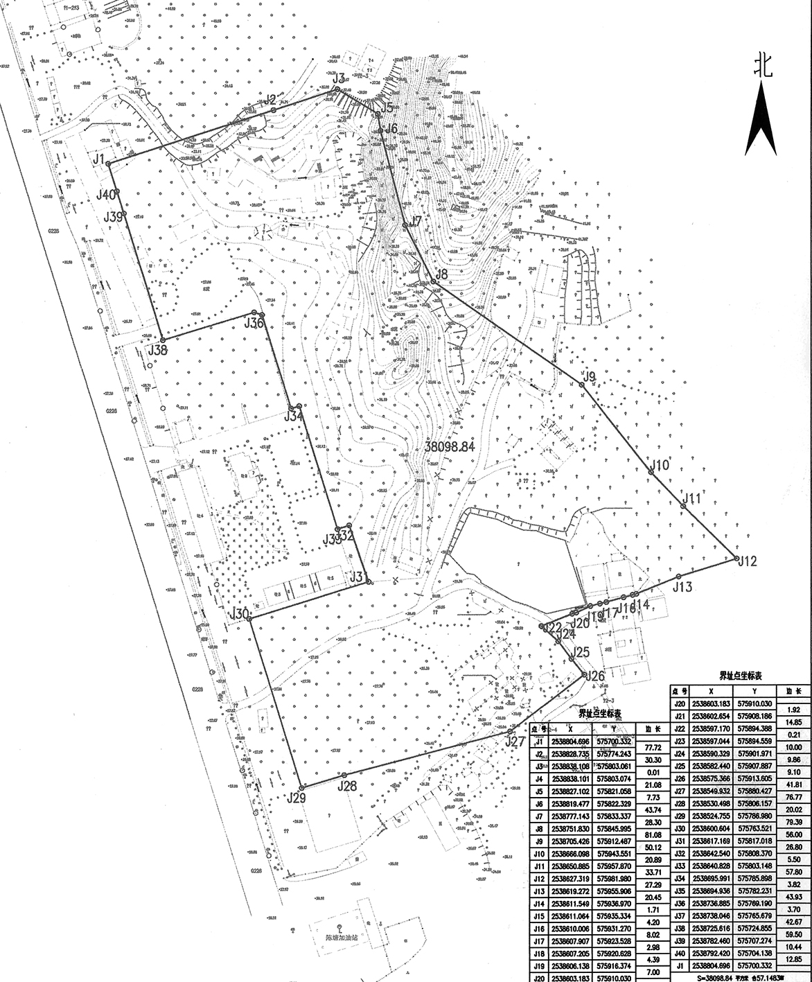
根据县政府《关于原G324线陈塘收费站地块及资产划转工作协调会议的纪要》(惠东府纪〔2024〕12号)的会议精神,拟依法盘整回收平山街道陈塘村委原陈塘收费站地块,约38098.84平方米(约57.1483亩)地块(见附图)作为以县城为重要载体的新型城镇化试点冷链物流仓储基地项目的建设用地。

为加快原G324线陈塘收费站项目土地盘整回收工作进度,请上述地段范围内仍未办理补偿登记手续的土坟、地坟、阴城、金埕等有关坟主在本通告公布之日起十五天内与平山街道办联系办理搬迁补偿登记事宜,迁坟补偿标准按《惠州市集体土地征收与补偿办法》(惠府〔2025〕6号)和《惠东县集体土地征收与补偿实施细则》(惠东府〔2023〕99号)规定执行。逾期作无主坟处理。

联系地址:平山街道土地征收盘整办

联系人:肖先生 联系电话:8583283 

特此通告。      

惠东县人民政府平山街道办事处 2025年11月21日